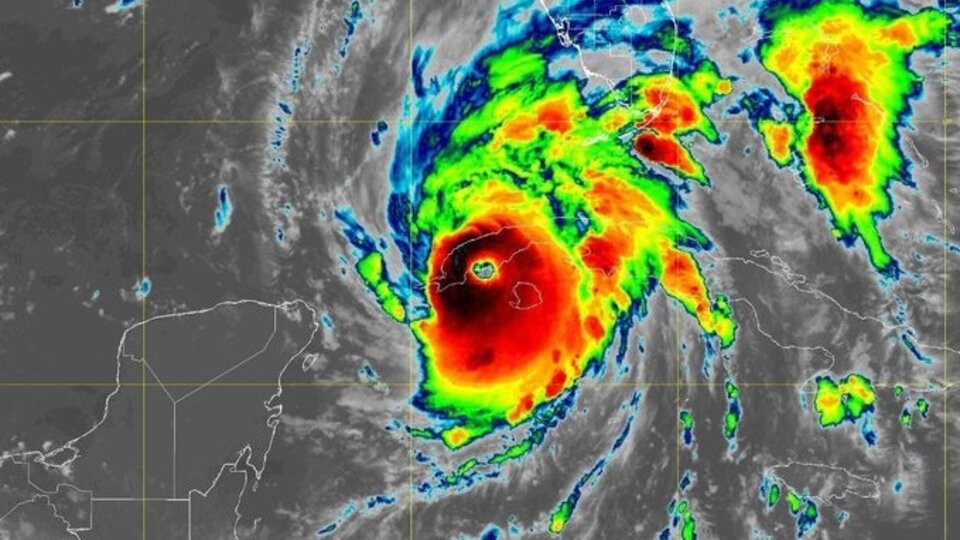
El centro del huracán Ián, que ya califica como de categoría 3, tocó tierra en el oeste de Cuba este martes cerca de las 4 de la madrugada (hora local) con vientos de hasta 205 kilómetros por hora, informaron las autoridades meteorológicas. En la región de la Coloma se registró una calma que duró 48 minutos. Se espera que la trayectoria del huracán continúe por el Golfo de México durante la jornada del miércoles y el jueves.
El Gobierno de Cuba precisó que ya 50.000 personas fueron evacuadas de las zonas más afectadas, para quienes prometió garantizar depósitos de agua potable y puestos médicos. Por el momento, las regiones ubicadas al oeste están sin servicio eléctrico y con anegaciones en rutas y caminos.
La Coloma, un pueblo de pescadores ubicado al sur de la provincia Pinar del Río, fue el primer municipio afectado por la fuerza del fenómeno climático. Posteriormente y debido a las fuertes tormentas, el sur de la Isla de la Juventud, Pinar del Río, la región de Artemisa y las costas del golfo de Guanahacabibes, sufrieron inundaciones costeras.
El Instituto de Meteorología de la República de Cuba (INSMET) pronosticó que el huracán Ián va a mantener su trayectoria rumbo al norte a 19 kilómetros por hora durante las próximas 6 a 12 horas. En su último reporte, precisó que el centro del huracán se encuentra 25 kilómetros al sur de Viñales y 40 kilómetros al sur de Puerto Esperanza.
Durante la última jornada se reportaron lluvias fuertes e intensas con 108.3 mm de precipitaciones acumuladas en la estación meteorológica de Amistad Cuba-Francia, en el municipio de Isla de la Juventud. Se espera que para las 8 de la mañana el huracán salga por un punto de la costa norte cercano a Puerto Esperanza.
Cuba también sufrió destrozos y fallecidos por el huracán Agatha
Al menos tres muertos, un desaparecido, derrumbes y miles de habitantes sin electricidad, fue el saldo de las fuertes lluvias provocadas por remanentes del huracán Agatha, que azotó a principios de junio varias provincias y la capital de Cuba.
Las intensas lluvias fueron los restos de Agatha, el huracán ocurrido en las costas del Océano Pacífico en el sur de México, y que al salir al Atlántico se convirtió en el “posible ciclón tropical Uno”, según el Centro de Huracanes de Miami, Florida.
Entre los fallecidos se halló a un hombre de 44 años que era buscado en la provincia de Pinar del Río, tras caer a un arroyo. A este reporte, se sumó la desaparición de otro ciudadano en esa región, según reprodujo el portal estatal de noticias Cubadebat.
Anteriormente, se había informado sobre la muerte de dos personas en La Habana, donde resultaron afectados los 15 municipios de la capital cubana por intensas precipitaciones desde la noche del jueves.
Seguir leyendo:
Fuente: Página 12







